まだ青空のSaturday Afternoon
いきなり大きな音で携帯に緊急速報が入ったので
びっくり。
この後、ガスステーションもスーパーもATMも
人でいっぱい。
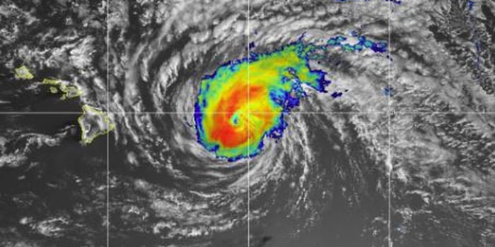
Hurricane Douglas お手柔らかに \m/
ハワイみなさん、Stay Safe
まだ青空のSaturday Afternoon
いきなり大きな音で携帯に緊急速報が入ったので
びっくり。
この後、ガスステーションもスーパーもATMも
人でいっぱい。
Hurricane Douglas お手柔らかに \m/
ハワイみなさん、Stay Safe
■推奨ブラウザおよびそのバージョン
Google Chrome 推奨 (バージョン45以降) Mozilla Firefox 推奨 (バージョン42以降) Apple Safari (バージョン7以降)
Opera (バージョン32以降) Microsoft Internet Explorer (バージョン11以降) Microsoft Edge